
ValleyMLS.com / Re/Max Distinctive 167 Jacque Jim Drive Huntsville, AL 35810
21904729
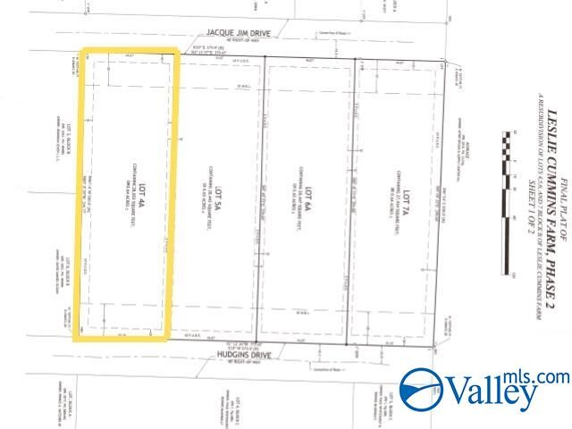
0.64 acres
Land
Madison County
Leslie Cummins Farm
Listed By
ValleyMLS.com
Last checked Nov 30 2025 at 9:38 PM GMT+0000
- Leslie Cummins Farm
- Level
- Wooded
- Sewer: None
- Elementary School: Mt Carmel Elementary
- Middle School: Riverton
- High School: Buckhorn
Estimated Monthly Mortgage Payment
*Based on Fixed Interest Rate withe a 30 year term, principal and interest only
Description